
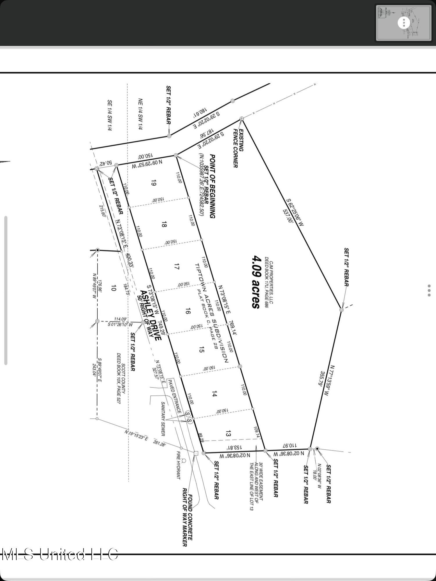
This prime commercial property in Morton, MS, offers approximately 4 acres of land with excellent road frontage, making it ideal for high visibility and easy access. With versatile use options, the space is perfect for warehouse facilities, shopping and retail outlets, medical facilities, or office use. The land has been completely cleared, and essential utilities are available at the site. Additionally, the property boasts convenient access to both Highway 80 and Highway 13, making it a prime location for businesses looking to establish a strong presence in Morton. It's very close to the interstate and offers easy access to Pelahatchie, Forest, and Brandon. Don't miss this amazing opportunity!
| MLS # | 4096762 |
|---|---|
| Listing Type | For Sale |
| Sub-Type | Resale |
| Status | Active |
| Days On Site | 361 |
| Listing Provided By | Blue South Real Estate Group,LLC dba Blue South | Calah Hall |
| Acreage | 4.10 |
|---|---|
| Water Front | None |
| Lot Features | Cleared |
|---|
| Utilities | Electricity Available, Natural Gas Available, Sewer Available, Water Available |
|---|
| State | MS |
|---|---|
| County | Scott |
| City | Morton |
| Zip Code | 39117 |
| Area | Scott |
| State | MS |
|---|---|
| County | Scott |
| City | Morton |
| Zip Code | 39117 |
| Area | Scott |
![]() | $396,000Ms-13Morton, MS 39117 |
![]() | $295,0000 Us-80Morton, MS 39117 |